Обележен Дан примирја у Првом светском рату
Привремени режим саобраћаја – изградња гасоводне мреже
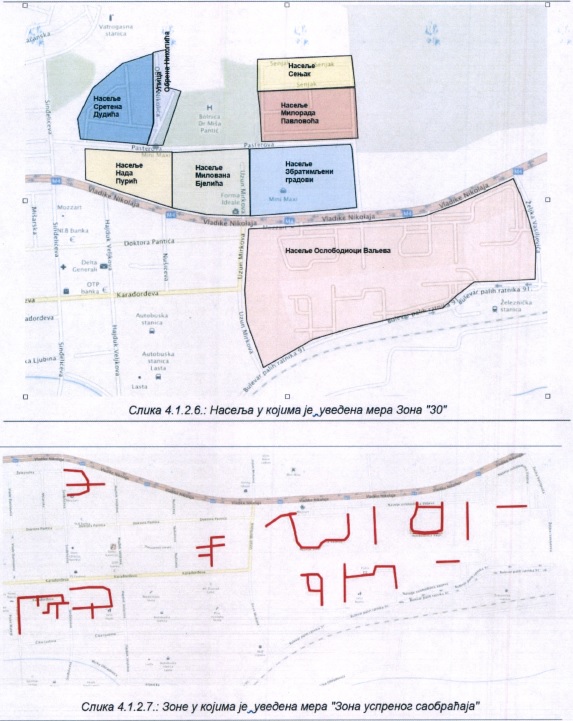
Постављање знакова који успоравају саобраћај
ЈАВНИ УВИД И ЈАВНУ РАСПРАВУ О НАЦРТУ УРЕДБЕ О ПРОГЛАШЕЊУ И СТУДИЈИ ЗАШТИТЕ ПРЕДЕЛА ИЗУЗЕТНИХ ОДЛИКА „ПОВЛЕН И КАЊОН СУШИЦЕ”
Седница Градског већа
Министарка животне средине у посети Ваљеву- природним мерама за еколошки Градац
Деветомесечни извештај и ребаланс буџета на седници Градског већа
Затварање улице због Меморијалне трке „Генерал Светомир Ђукић“
Мемориjaлна трка „Генерал Светомир Ђукић“ у недељу – старт код „Платана“
Најава редовне провере система за јавно узбуњивање „Стубо-Ровни“ – емитовање знака „ПРЕСТАНАК ОПАСНОСТИ“ 15. октобра у 12 часова
Велики успех Душице Павловић на Светском првенству у фитнесу
Последњи одговори
Светлана Марковић, Група за информисање и протокол: Поштована, Градска управа Ваљева не одређује распоред вакцинације наших суграђана. ...
Запрашивање комараца
Бранко Вуковић, руководилац Одељења за грађевинско земљиште и инфраструктуру: Уређај који се користи за паљење и гашење јавног осветљењ... ...
Молба за пут - Кланица
Бранко Вуковић, руководилац Одељења за грађевинско земљиште и инфраструктуру: Ускоро ће бити постављен одговарајући саобраћајни знак н... ...
Нови в.д. начелника Градске управе Ваљева
Олга Јанковић, дипл.инж.пејз.арх. за послове контроле и праћења инвестиција инфраструктурних објеката у Одељењу за грађевинско земљиште... ...
Право на новчану накнаду за прворођено дете
Гордана Јоксовић, Одсек за дечју, здравствену, социјалну и борачко- инвалидску заштиту: Одлуком о изменама и допунама Одлуке о већем обим... ...
Систематски прегледи деце за упис у први разред
Светлана Марковић, руководилац Групе за информисање и протокол: Почела је прошле среде подела ауто-седишта за децу рођену од 18. априла 2019... ...







